BREAKING NEWS: Large Category Hurricane Forming – Urgent Preparations Advised
Meteorologists have issued an urgent warning as a massive hurricane is forming over the ocean, potentially posing a significant threat to coastal regions. The storm, which has rapidly intensified, is now classified as a major hurricane and is expected to make landfall within the next few days. Authorities are urging residents to take immediate precautions as this powerful weather system continues to develop.
Hurricane Development and Current Status
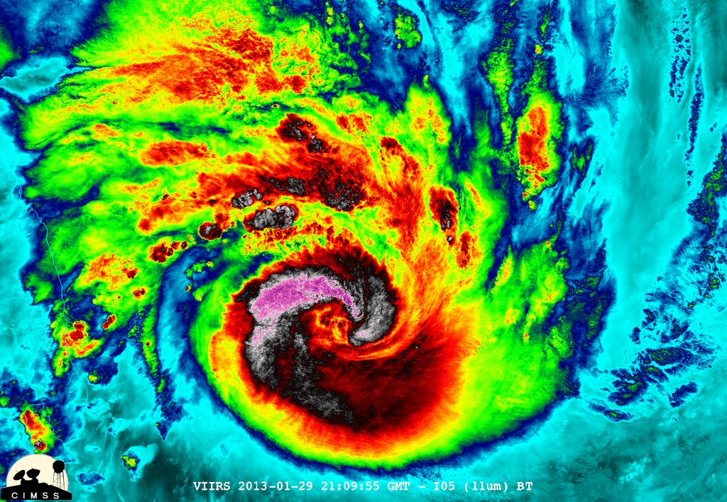
According to the latest reports from the National Hurricane Center (NHC), the storm has strengthened significantly over the past 24 hours, reaching Category 4 status on the Saffir-Simpson Hurricane Wind Scale. With sustained winds exceeding 130 mph (209 km/h), the hurricane is exhibiting characteristics of an extremely dangerous system that could cause catastrophic damage in its path.
Satellite imagery and weather models indicate that the hurricane’s eye is becoming more defined, signifying further intensification. Forecasters predict that it could potentially reach Category 5 strength before making landfall, depending on atmospheric and oceanic conditions.
Potential Impact and Affected Areas
The projected path of the hurricane shows it moving toward heavily populated coastal regions, with states along the Gulf Coast and the southeastern United States at the highest risk. Heavy rainfall, extreme storm surges, and destructive winds are expected to cause widespread flooding and infrastructure damage.
Meteorologists warn that low-lying areas and coastal cities could experience life-threatening storm surges of up to 15 feet (4.5 meters) in some locations. Inland areas may also face severe flooding, power outages, and structural damage due to the storm’s intensity.
Emergency Response and Evacuations
State and local governments have begun issuing evacuation orders for vulnerable communities. Emergency response teams are preparing shelters, stockpiling supplies, and coordinating rescue operations in anticipation of the hurricane’s landfall. Officials are urging residents in the affected regions to follow evacuation guidelines and prepare emergency kits with essential supplies such as food, water, medications, and flashlights.
The Federal Emergency Management Agency (FEMA) has also mobilized resources to assist with disaster response efforts. Airlines and transportation services are experiencing high demand as people rush to evacuate before the storm arrives.
Safety Tips and Preparation Measures
Experts strongly advise residents to take the following precautions:
- Evacuate early: If you are in a mandatory evacuation zone, leave as soon as possible to avoid being trapped by rising waters.
- Secure your home: Board up windows, bring in outdoor furniture, and reinforce doors to minimize damage from high winds.
- Stock up on emergency supplies: Have at least three days’ worth of food, water, batteries, and medical supplies ready.
- Stay informed: Monitor local news, weather updates, and alerts from official sources such as the NHC and FEMA.
- Avoid flooded areas: Do not attempt to drive through flooded roads, as water levels can be deceiving and currents may be strong.
Global Concern and Climate Considerations
This developing hurricane has reignited discussions about climate change and its role in intensifying storms. Scientists have noted that rising sea temperatures contribute to stronger and more frequent hurricanes, making preparation and resilience even more critical in the coming years.
As the storm continues to approach land, authorities stress the importance of readiness and community support. Emergency responders are working tirelessly to ensure the safety of residents, but personal preparedness remains a key factor in minimizing loss of life and property damage.
Final Thoughts
With a large, powerful hurricane forming and approaching populated regions, the coming days will be crucial for preparedness and response efforts. Authorities are urging people to take the situation seriously and act swiftly to protect themselves and their families. As updates continue to emerge, staying informed and following official guidance will be essential for those in the storm’s projected path.
